Gorenjska cesta 3
1310 Ribnica
Občina Ribnica, Gorenjska cesta 3, 1310 Ribnica na podlagi 52. člena v povezavi s 57. in 62. členom Zakona o stvarnem premoženju države in samoupravnih lokalnih skupnosti (Uradni list RS, št. 11/18, 79/18, 61/20-ZDLGPE, 175/20 - ZIUOPDVE, 78/23 - ZUNPEOVE, 78/23 – ZORR, 131/23 – ZORZFS) ter 19. člena Uredbe o stvarnem premoženju države in samoupravnih lokalnih skupnosti (Uradni list RS, št. 31/18) objavlja NAMERO O SKLENITVI NEPOSREDNE POGODBE ZA USTANOVITEV STAVBNE PRAVICE.
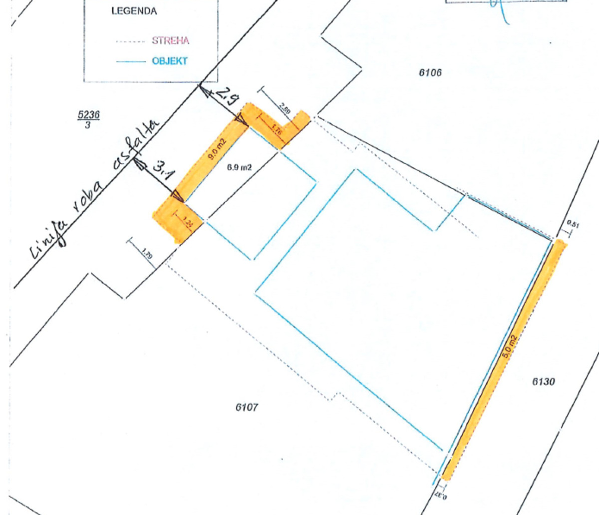
Predmet neposredne pogodbe je ustanovitev stavbne pravice za obstoječi napušč na pomožnem kmetijskem delu stavbe, ki stoji na zemljiščih parcela 6107 in 5236/6, obe k.o. 1629 Dolenja vas (stavba št. 1629 728), na delu zemljišča parcela 5236/5 k.o. 1629 Dolenja vas v izmeri 9 m2 in na delu zemljišča parcela 6130 k.o. 1629 Dolenja vas v izmeri 5 m2, kot to izhaja iz grafičnega prikaza, in sicer zaradi legalizacije navedene stavbe.
Po zemljišču parcela 5236/5 k.o. 1629 Dolenja vas poteka kategorizirana občinska cesta odsek LC 352181 Dolenja vas-Rakitnica ter regionalni vodovod.
Stavbna pravica se ustanovi za dobo 99 let.
Rok za prejem ponudbe oz. izjave o interesu je 20 dni od objave namere na uradni spletni strani Občine Ribnica https://www.ribnica.si.
Podrobnejše informacije in pogoji so razvidni v priponki.